Un muerto y más de 120 familias afectadas por las lluvias...
Tegucigalpa – Las fuertes lluvias que han azotado el territorio hondureño en los últimos días han dejado un saldo de una persona fallecida, al...
Cristina Fernández desde su balcón: “Pueden encerrarme a mí, pero no...
Desde su apartamento en el barrio de Recoleta, la expresidenta de Argentina y actual líder del Partido Justicialista, Cristina Fernández de Kirchner, envió este...
Xiomara Castro denuncia intento de fraude electoral: “Tienen mucho miedo”
Durante el lanzamiento del proyecto Agrobosques, la presidenta de Honduras, Xiomara Castro, denunció públicamente que existe un intento por manipular las próximas elecciones generales,...
Presidente de CEAL-Honduras exige respeto al voto y critica influencia del...
Tegucigalpa – El presidente del Consejo Empresarial de América Latina, capítulo Honduras (CEAL-Honduras), Luis Napoleón Larach, expresó este martes que el pueblo hondureño exige...
Porfirio Lobo: La venta del avión presidencial es una promesa más...
Tegucigalpa – El expresidente de Honduras, Porfirio Lobo Sosa, arremetió este miércoles contra el actual gobierno por no cumplir la promesa de vender el...
COPECO emite Alerta Roja en Ocotepeque y la ribera del río...
Tegucigalpa.- La Secretaría de Gestión de Riesgos y Contingencias Nacionales (COPECO) elevó este miércoles a Alerta Roja al departamento de Ocotepeque y a las...
Renovaciones de memorando de CICIH evidencian estancamiento del proceso: Cespad
Tegucigalpa – La asesora legal del Centro de Estudios para la Democracia (Cespad), Osiris Payes indicó que la quinta renovación al Memorando de Entendimiento para la creación de la...
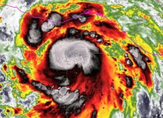
Erick ya es huracán y provoca lluvias en Honduras este miércoles
El Centro Nacional de Estudios Atmosféricos, Oceanográficos y Sísmicos (Cenaos) informó que la tormenta tropical Erick se fortaleció este miércoles en huracán de categoría...
Incomunicadas por el río Goascorán unas 16 comunidades en Alianza, Valle
Tegucigalpa- El alcalde del municipio de Alianza, Faustino Manzanares, advirtió sobre la crítica situación que enfrentan al menos 16 comunidades de su jurisdicción, especialmente en...
Senador Uribe Turbay sigue en «máxima gravedad y con pronóstico reservado»,...
Bogotá.- El estado de salud del senador y precandidato presidencial colombiano Miguel Uribe Turbay sigue siendo de "máxima gravedad" y "con pronóstico reservado" por...
Jameneí advierte a EEUU de que no intervenga en la guerra...
Teherán.- El líder supremo de Irán, Ali Jameneí, advirtió este miércoles a Estados Unidos de que sufrirán un "daño irreparable” si intervienen militarmente contra...
La salud del senador colombiano Uribe Turbay mantiene en vilo a...
Tegucigalpa.- El estado de salud del senador y precandidato presidencial Miguel Uribe Turbay mantiene en vilo a Colombia diez días después del atentado en...
Trump envía 700 militares a Texas, Florida y Luisiana como apoyo...
Tegucigalpa.- El Gobierno del presidente de EE.UU., Donald Trump, desplegó a 700 militares hacia los estados de Florida, Texas y Luisiana para apoyar en...
Trump Mobile quita el mapa de cobertura de su web por...
Tegucigalpa.- Trump Mobile, el nuevo operador de telefonía móvil presentado el lunes por los hijos del presidente de EE.UU., Donald Trump, retiró este martes...
Héctor Zelaya presenta ante el CN el proyecto del Ferrocarril Interoceánico
Tegucigalpa.- El secretario privado de la Presidenta, Héctor Zelaya, llegó al Congreso Nacional con el objetivo de promover la aprobación de la Ley para...
Una potente llamarada solar de clase X1.2 acaba de estallar en...
Tegucigalpa.- Una potente llamarada solar de clase X1.2 acaba de estallar en el Sol, la categoría más intensa de explosiones de radiación solar.
Esta...
Congresistas demócratas advierten que política migratoria de Trump amenaza el Mundial...
Tegucigalpa.- El Caucus Hispano del Congreso (CHC) estadounidense, integrado por legisladores demócratas de ascendencia hispana, advirtió este martes que la política migratoria de la...
UFTF abre expedientes sancionatorios a 1,704 precandidatos de elecciones primarias
Tegucigalpa– La Unidad de Financiamiento, Transparencia y Fiscalización (UFTF) informó este martes que ha iniciado procesos sancionatorios contra 1,704 aspirantes a cargos públicos en...
Reportan la hospitalizacion de emergencia de Kristi Noem, secretaria de seguridad...
Tegucigalpa.- La secretaria del Departamento de Seguridad Nacional, Kristi Noem, fue trasladada de urgencia a un hospital este martes 17 de junio 2025, de...
































