Etiqueta: Costa este
Eta se convierte en huracán mientras se acerca a la costa...
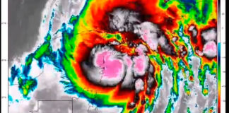
Miami - La tormenta tropical Eta se convirtió nuevamente en huracán este miércoles tras alejarse de la porción más occidental de Cuba y acercarse...
La tormenta tropical Ganma se fortalece horas antes de tocar tierra...
Miami - La tormenta tropical Ganma se fortalece más a medida que se acerca a la costa este de la mexicana Península de Yucatán,...
















