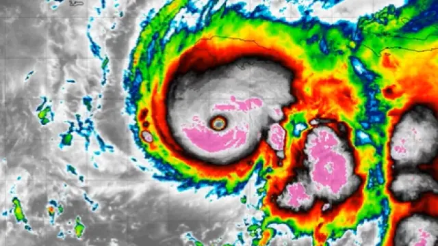
El huracán Melissa, formado como tormenta tropical el martes pasado en el mar Caribe, alcanzó la categoría 5, según el Centro Nacional de Huracanes (NHC, en inglés) de Estados Unidos, que prevé vientos destructivos, marejada ciclónica e inundaciones catastróficas que empeorarán en Jamaica durante el día y hasta esta noche.
Melissa se encuentra unos 230 kilómetros al suroeste de Jamaica, donde se espera que golpee entre la noche de este lunes y el martes «como un huracán de gran potencia», según el último boletín del NHC.
El huracán, que actualmente avanza a unos 6 kilómetros por hora y experimenta vientos máximos sostenidos de hasta 270 kilómetros por hora, alcanzaría a Cuba el martes, al sur de Bahamas el miércoles y causaría lluvias en Haití y en la República Dominicana, donde un millón de usuarios quedaron sin agua.
Desde el Centro Nacional de Huracanes se advierte a la población de Jamaica que no abandone su refugio seguro, ya que hasta mañana martes existe un alto riesgo de inundaciones repentinas y deslizamientos de tierra catastróficos.
Melissa traerá lluvias de entre 38 y 76 centímetros (15 a 30 pulgadas) en partes de Jamaica y lluvias adicionales de 20 a 40 centímetros (8 a 16 pulgadas) en el sur de La Española hasta el miércoles, con una posible máxima local de unos 100 centímetros (40 pulgadas), agregó el organismo con sede en Miami.
Además, recordó que los vientos de carácter destructivo, especialmente en las zonas montañosas, comenzarán esta noche y podrían ocasionar daños graves en infraestructuras, cortes de energía y de comunicaciones de larga duración, dejando comunidades aisladas.
También prevé marejadas ciclónicas y olas peligrosas a lo largo de la costa sur hasta el martes.
En Haití y República Dominicana se espera que las condiciones propias de tormenta tropical lleguen hacia el final del martes y se prolonguen en el miércoles. Allí también se advierte de inundaciones, deslizamientos de tierra y de probables aislamientos de comunidades.
En regiones del este de Cuba, se espera que las lluvias caigan con fuerza y los vientos soplen con gran intensidad durante la tarde-noche del martes. EFE





















